A. Choice of locality in new scheme is offered but floor choice or allotment in a particular Sector/pocket is not allowed as the allotment of the flat is made through computerized draw. G.F flats are allotted under reserve quota to physically disabled category registrants under 3% reserve quota
A.There is no such provision.
Incorporation of privately owned land in the approved Layout Plan of SFS Housing at, Sector-D, Pocket-1, Vasant Kunj New Delhi in view of 'The Regulations for enabling the Planned Development of Privately Owned Land'.
Issuance of approved agenda, minutes & drawing of Authority meeting of DDA held on 14.11.2019 vide Item no.107/2019 w.r.t "Special Permission of Authority under Sub Clause 8(2) of MPD-2021 for proposed part modification in the Layout Plan of Institutional plots within the Constraints Area,Vasant Kunj w.r.t. change of use premise & sub division into three plots of DDA vacant plots No.11 from hospital to Government Offices".
Part Modification in the layout plan of Safderjung Residential Development Block-B w.r.t. Plots No. B-5/1 and vacant plot adjoning to Plots no. B-5/1 of Block B-5 Safderjung Development Area (Safderjung Enclave)
Utilization Plan of vacant land measuring 483 sqm.(approx) in OCF pocket at pocket-9 , vasant kunj sector-B for provision of Dispensary for Pet Animals & Birds
Utilization Plan of vacant DDA land w.r.t. finalization of boundary of proposed group housing vacant lands measuring 14063 sqm(approx. at basant village in residential land use as per ZDP of Zone-F under MPD-2021 Agenda
Planning Zone P-I
- 375th Screening Committee meeting ( Zone-F) Minutes -Aganda-LOP safdarjung enclave ,B-4
- 362th Screening Committee meeting ( Zone-F) held on 24.08.2018 at 11:30
- 361th Screening Committee meeting ( Zone-F) (okhla industrial area phase 1 )
- Layout Plan of okhla industrial area phase 1
- 354th Screening Committee meeting ( Zone-F) South Delhi-I
- 350th & 351th Screening Committee Netting (Utilization Plans @ Zone-F) South Delhi-I
- Approved Final Mahipalpur (LOP for SCM) Drg
- Aprroved Agend-Minutes
- LOP of north of Badarpur road near Malviya Nagar (Saket)
- Layout Plan of Friends Colony Block-A & C
- Detail layout plan of East of Kailash Phase-II
- Safdarjung Development plan of Block- B6 & B7 (Arjun Nagar Resettlement scheme)
- Layout Plan of Tughlakabad Extension, F-18
- LOP of Gaffar Manzil Extension
- LOP of SAFDARJUNG Residential Dev. Block-A
- LOP of Tuglakabad Institutional Area
- Proposed Residential scheme at Jasola setbackdemarcation plan, Pocket-II
- Detail layout plan of Masjid Moth, Pockets-A,A1,B,C,D
- Demarcation and set back plan for F.C. -33 at Jasola
- Layout plan of DDA Housing near village Lado Sarai
- Structure Plan of Jasola
- Proposed layout plan for Facility Centre-31
- Revised layout plan of Malviya Nagar
- Institutional Area at Siri Fort (Revised Plan)
- Modified layout plan of part of FC-30 (Saket F-16)
- LOP of CR Park
- Nehru Place Kalkaji District Centre
- Layout Plan of Sant Nagar (2 Plans)
- Layout plan of Kalkaji Township
- LOP of vacant pockets for allotment to EPDP at CR Park
- Layout plan of Safdarjung Residential Development Block-B
- Detail of plot housing pocket-J in north of Residential scheme (Saket) (2)
- Plan for Institutional Area towards south of IIT
- Detail layout plan of East of Kailash Phase-II, Block-G
- Planning and Development of M.O.R. land in Lajpat Nagar-IV [Site 1,2 (Part-9)]
- Detail of Plot Pocket-J, Malviya Nagar, Extn
- Part revised layout plan of Friends Colony Block A& A-1
- 3Layout plan of Residential scheme at Yusuf Sarai
- Modified part Zonal Plan of F-3, Hauz Khas Institutional area
- LOP of Zakir Nagar, Batla House & Jogabai Complex
- Regularization plan for Harijan Colony Begumpur
- LOP of Gaffar Manzil Extension
- (MOR Pk-104) Possession Plan of NS at Kalkaji
- Layout plan of Govind puri extension
- Planning and development of MOR land in Lajpat Nagar-IV
- LOP of site 49 Kalkaji to be auctioned
- Layout plan of planning and development of MOR land at Lajpat Nagar-IV
- LOP of Institutional Area within the Constraint Area (Vasant Kunj
- Layout List of PVC Market Tikiri Kalan, Rohtak Road
- Possession Plan for RLU Site, PVC Bazar, Tikiri Kalan, Rohtak Road
- Proposed chain link fencing for the 30m wide Green Strip PVC Bazar, Tikiri Kalan.
- Garbage Collection Centre (design- B) for PVC Bazar, Tikiri Kalan, Rohtak Road
- Design of Garbage Collection Centre for PVC Bazar, Project Tikiri Kalan, Rohtak Road(Design-A)
- Proposed Pump House for PVC Bazar at Tikiri Kalan, Rohtak Road.
- Standard Design of Type-C Plots (25.20, 26.40 & 30.00 Sqm mtr) PVC Bazar, Tikiri Kalan, Rohtak Road
- 18- Seater Community Toilet Complex at Pkt.- A, PVC Bazar, Tikiri Kalan, Rohtak Road. (Sulabha Sochalaya)
- Proposed Admn. Bldg. at PVC Bazar, Tikiri Kalan,Rohtak Road. (Ground Floor Plan)
- Proposed Admn. Bldg. at PVC Bazar, Tikiri Kalan,Rohtak Road. (Elevations & Sections)
- Proposed Parking Plan for Pkt-A at PVC Bazar, Tikiri Kalan, Rohtak Road.
- Standard Design. of Shops at Pkt- B, PVC Bazar, Tikiri Kalan, Rohtak Road
- Standard Plan Type-B, 40 to 48 Sqmt. (Plans, Elevation, Section) PVC Bazar, Tikiri Kalan, Rohtak Road, New Delhi
- Part Plan of Pkt. –H, Showing the exist. Brick Kiln PVC Bazar, Tikiri Kalan, Rohtak Road
- Architectural Central for Plot No. 33-50 in Layout Plan of Pkt.-A, PVC Bazar, Tikiri Kalan, Rohtak Road
- Plan, Elevation and Section of Type-A, Type-B and Type-C, Units for PVC Bazar, Tikiri Kalan, Rohtak Road
- Standard Design of Type-B Plots (50, 53.30 & 55.0 Sqmts.) PVC Bazar, Tikiri Kalan, Rohtak Road
- Modified standard design of Type-D, Warehousing Plots of 300 Sqm., PVC Bazar, Tikiri Kalan, Rohtak Road, Delhi
- Standard Design of Type-A Plots (124.0 sqmt., 131.75 sqmt.) PVC Bazar, Tikiri Kalan, Rohtak Road
- Proposed Idle Paking for HMV. At PVC Bazar, Tikiri Kalan, (Pkt-J) Rohtak Road, Delhi
- Layout Plan (Park) of Pocket- A (Motor, Garages, Workshops, Repair/Spare Parts Shops, Night Shelter etc.) PVC Bazar, Tikiri Kalan, Rohtak Road
- Demarcation Plan of Pkt. H & I Proposed PVC Bazar, Tikiri Kalan, Rohtak Road
- Dimension Plan of Pkt B & C Proposed PVC Bazar, Tikri Kalan Rohtak Road
- Modified Dimension Plan of Pkt. L&M proposed PVC Bazar, Tikiri Kalan, Rohtak Road
- Modified Dimension Plan of Pkt. D&E proposed PVC Bazar, Tikiri Kalan, Rohtak Road
- Modified Dimension Plan of Pkt. F&G proposed PVC Bazar, Tikiri Kalan, Rohtak Road
- Dimension Plan of Pkt. –N proposed PVC Bazar Tikri Kalan Rohtak Road.
- Detail of Toilet Block of Pkt-B, Proposed, PVC Bazar, Bazar Tikri Kalan Rohtak Road.
- 1.Modified Layout Plan of Sector A1-A4 Narela Sub City
- 2.Other Community Facilities (O.C.F.) Sector A (Pkt 2 & Pkt 9) Narela
- 3.Layout Plan of Sector A 5 Narela
- 4.Composite Sector Plan Narela
- 5.Layout Plan of Sector A 6 Narela
- 6.Other Community Faciltities OCF at Pkt 9 Sector A 6 Narela
- 7.Layout Plan of Facility Area 7, Zone P I proposed to be alloted to NIT Delhi
- 8.Sub Division of Plot No. 9, Public and Semi Public Facility Area Sec A-7 (FA-2) Narela
- 9.Public and Semi Public Facilities Sector A-7 Narela
- 10.Modified Layout Plan Sector A 8 PSP Area Narela Ph III
- 11.Modified Part LOP of sector A-8
- 12.Proposed Layout Plan of Other Cummunity Facilities at Pocket 4 Sector A9 Narela Ph I
- 13.Layout of Pocket 4 part Sector A-9 Narela
- 14.Layout Plan of Sector A 9 Narela 2011
- 15.Layout Plan of Pocket 3 part and Pocket 1 part of Sector A-9 Narela
- 16.Proposed Layout Plan of OCF at Pocket 4 Sector A10 Narela
- 17.Proposed Layout Plan of Other Cummunity Facilities at Pocket 4 Sector A10 Narela
- 18.Layout Plan of LIG & MIG Houses of Pocket 6 Sector A-10 Narela
- 19.Modified Layout Plan of Pkt No 5 Transit Camp near Gautam Colony Narela Sub City
- 20.Layout Plan for Transit Camp near Gautam Colony Narela
- 21.Possession Plan Showing the Sr. Sc. School site alloted to Jyotika Education and Welfare Society at Sec 10 Narela
- 22.Layout Plan of Pkt 2 Sector B 2 Part Narela
- 23.Layout Plan of Sector B 2 Part Narela
- 24.Layout Plan of Government Land Along 60 m ROW Road Zone PI
- 25.Proposed Layout Plan for JJ Plots at Sec B4 Pkt 1 Part Narela
- 26.Proposed Layout at Sec B 4 Pkt 2 Narela
- 27.Other Community Facilities OCF Sector B 4 Pkt 4 Narela
- 28.Layout Plan of Sector B-4 Narela
- 29.Revised Layout Plan for JJ Plots at B4, Pkt 13 Narela
- 30.Layout Plan for JJ Plots along Narela Alipur Road Village Bhor Garh
- 31.Composite Plan for Re Location of Chemical Traders at IFC Narela
- 32.Modified Layout Plan of IFC Narela
- 33.updatedCompositePlan_ChemicalTraders_01112018
- 34.Site Plan of the Proposed Jail Site at Narela
- 35.Modified Layout Plan of Truck Terminal at IFC Narela Sub City
- 36.Possession Plan or Site Plan of Sanitary Land Fill Site at Narela Bawana Ph II near Western Yamuna Canal
- 37.Change in Land Use Map 50 Ha from Rural to Utility 1993
- 38.Modified Plan of Mix Use Cum Works at Alipur Narela
- 39.Composite Layout Plan of Sector G-3, G-4 of Narela Sub City
- 40.Composite Layout Plan of Sector G-3, G-4 of Narela Sub City Proposed site of STP and UGR
- 41.Composite Layout Plan of Sector G 2 and G 6 of Narela Sub City
- 42.Proposed Modified Composite Structure Plan of Sector G7 & G8, Narela Sub City
- 43.Structure Plan Proposed Industrial Area Bawana Narela
- 44.Carving out 37 Nos Plot for WEA Karol Bagh with Ref to Honble Court Matter in Sec 8 Pkt II Narela
- 45.Layout Plan of CGHS at Sec G-8 adjoining Western Yamuna Canal Narela Sub City Pkt I
- 46.Remodified Layout Plan Pkt II of Slum and JJ Scheme at Sector G-8m adjoinng Western Yamuna Canal Narela
- 47.Dev. plan for bhalaswa lake PII
SCM 292 2010 Item No.72
SCM 292 2010 Item No.97
SCM 292 2010 Item No.110
SCM 292 2010 Item No.134
SCM 300 2011 Item No.63
SCM 300 2011 Item No.81
SCM 300 2011 Item No.113
SCM 306 2012 Item No.34
SCM 310 2012 Item No.125 and 137
SCM 314 2013 Item No.82
Zonel Development Plan Narela
324 SCM Item no-88, 2014 WHS Kirti Nagar
324 SCM Item no-90, 2014 Bodella Residential Scheme Mahavir Nagar
330 SCM Item no-49, 2015 BPCL Vikas Puri
338 SCM Item no-22, 2016 WHS Kirti Nagar
339 SCM Item no-42, 2016 Primary School Paschim Vihar
346 SCM Item-7, 2017 Mahavir Nagar
S. No. 28
S. No. 29
S. No. 30
S. No. 31
S. No. 32
S. No. 33
S. No. 79
S. No. 80
S. No. 81
S. No. 82
S. No. 83
S. No. 84
S. No. 85
S. No. 86
S. No. 87
Zone- M
- DEMARCATION PLAN OF P.S.P.POCKET PART OF SECTOR-9
- HAF (B) SECTOR- 12, DWK
- HAF (F) SECTOR- 12, DWK
- HOUSING AREA FACILITY SECOR-19 PH -II
- HOUSING AREA FACILIITY PH II SETOR -13
- HOUSING AREA FACILITIES SECT-16 D
- HOUSING AREA FACILITY HAF-B,SECTOR- 12
- HOUSING AREA FACILITY PKT-B,SECTOR-16-B
- HOUSING AREA FACILITY POCKT A SECTOR 11 MODIFIED LAYOUT
- HOUSING AREA FACILITY REVISED PKT B
- HOUSING AREA FACILITY SECTOR 22
- HOUSING AREA FACILITY SETOR -7
- HOUSING AREA FACILITY PH I SETOR -2
- HOUSING AREA FACILITY PH II SETOR -7
- HOUSING AREA FACILITY PH II SETOR -1
- HOUSING AREA FACILITY PH II SETOR -17
- HOUSING AREA FACILITY PH II SETOR -14 PROSED HOUSING AREA FACILITY PKT -C
- HOUSING AREA FACILITY PH II SETOR -14 PKT D
- HOUSING AREA FACILITY PH II SETOR -13 ph
- HOUSING AREA FACILITY PH II SETOR -13 (2)
- HOUSING AREA FACILITY PH II SETOR -12
- HOUSING AREA FACILITY PH II SETOR -10
- HOUSING AREA FACILITY PH II SETOR -2
- HOUSING AREA FACILITY PH II SETOR -22
- HOUSING AREA FACILITY PH II SETOR -17
- HOUSING AREA FACILITY PH II SETOR -14
- HOUSING AREA FACILITY PH II SETOR -14 (2)
- HOUSING AREA FACILITY PH II SETOR -9
- HOUSING AREA FACILITY PKT 2 SETOR -7
- HOUSING AREA FACILITY PKT. C, SECTOR -12
- HOUSING AREA FACILITY PLOT NO. 3 ,SEC,9
- HOUSING AREA FACILITY PLOT.NO.2,SECTOR 23 DWARKA
- HOUSING AREA FACILITY SECTOR 22
- HOUSING AREA FACILITY SECTOR
- HOUSING AREA FACILIY SECTOR-19H.II H.F-1
- HOUSING AREA FACILLTIES LAYOUT PLAN SECR -23 PH.I PLOT -NO-1
- HOUSING AREA FACILTY H.A.F -2, SECTOR-19 H.II
- LAY OUT PLAN OF PART SECTOR-1 AND PICKET-15
- LAYOUT PLAN OF ALTERNATIVE PLOTS FOR RESIDENTIAL POCKET-7 SEC -23 PH-II
- LAYOUT PLAN PROPSED PRIMARY SCHOOY SCHOOL ON LAND WITHINNO BUILTUP ARER BIDAPAPUUR POCKET-IV DWARKA
- LAYOUT OF DDA ZONAL OFFICE PLOT SEC-11
- LAYOUT PALN SECOND DIPLOMATLC ENCLAVE SECTOR 24 DWARKA PH ll
- LAYOUT PLAN FOR FACILITY PKT -1 HAF FACILIY PKT 2 SECTOR -26 PH -11 DWRKA
- LAYOUT PLAN FOR SOR SOUATTER SETLEMENTS POKET-3 SEATOR -160
- LAYOUT PLAN OF PKT.5 NASIRPUR
- LAYOUT PLAN OF POCKET-C SECTOR-15
- LAYOUT PLAN OF GAN SABHA LAND PKT NO-7,8,9,10 NASSIR PUR
- LAYOUT PLAN OF GAON SABHA POCKET-6 NASIRUR VILLAG KHASRA NO -446
- LAYOUT PLAN OF GAON SABHA POCKET-11 NASIRUR VILLAG KHASRA NO -613
- LAYOUT PLAN OF GAON SABHA POCKET-12 NASIRPU VILLAGE
- LAYOUT PLAN OF H.A.F POCKET-A SEATOR 10 DWARAK
- HOUSING AREA FACILITY SECTOR-3
- LAYOUT PLAN OF HAF POCKRET -D NEAR ,VILAGE KAKROLA SECTOR -16 D.W.K
- LAYOUT PLAN OF LAND BEARING KHASRA ON -224 AT NASSIPUR
- LAYOUT PLAN OF O.C.F POCKAT SECTOR-16 B DWARKA
- LAYOUT PLAN OF PKT. 1,2,3& 4 NASIRPUR
- LAYOUT PLAN OF PLOT NO.97 & 98 POCKET-B 3 SECTOR-17 DWARKA
- LAYOUT PLAN OF PKT.6, DWARKA
- LAYOUT PLAN OF POCKET-A SECTOR-15
- LAYOUT PLAN OF POCKET-B, SECTOR-15,DWK
- LAYOUT PLAN OF PSP PKT.SEC-16B
- LAYOUT PLAN PLOTTED DEVELOPMENT ADJ.BAGDOLA
- LAYOUT PLAN POCKET -20-D
- LAYOUT PLAN POCKET NO.-4 AT BINDAPUR
- LAYOUT PLAN PROPOSED COMMUNTY HALL BARATGHAR IN ISOLATED POCKET 5-A NEAR DWARKA
- LAYOUT PLAN REVISED HOUSING AREA FACILTY SECTOR -22 PLOT NO -D
- LAYOUT PLAN SECTOR-17 POCKET A-2
- LAYOUT PLAN-A,0LAND AT DWARKA FOR DELHL MRTS PROJECT PH ,III ON TEMPORY BASIS (2)
- LAYOUT PLAN-A,0LAND AT DWARKA FOR DELHL MRTS PROJECT PH ,III ON TEMPORY BASIS
- MODIFACTION IN PART LAYOUT PLAN OF ALOTTED DEVELOPMENT IN PKT -B-10, SEC -13 DWARKA
- MODIFCATIONS IN REVISED PLOTA FOR RESIDENTIAL POKET-4 SEC 23 PH -II
- MODIFIED DEMARCATION S NUMBERING PLAN OF ALTERTIVE PLOTS FOR RESIDNTIAL IN PKJ.NO.4.S,6 AT SECTOR-26 DWARKA PHASE-II
- MODIFIED LAYOUT PLAN OF ISOLATED POCKAT 13 DWARKA
- MODIFIED LAYOUT PLAN-SOCLO CULTURL CENTRE SECTOR-11 DWARKA
- MOIFICTION IN THE LAYOUT PLAP OF HOUSING AREA FACILTISPKT-1 SECTOR-13 DWARKA
- PART LAYOUT PLAN OF SECTOR-25(ECC)
- PART PLAN PKT.4 BINDAPUR
- PART SEC-26SEC-21&SEC-22 PH
- PARTIAL MODIFICATION OF LAYOUT PLAN FOR EARMARKINNG OF LAND TO DMRC FOR MRTS PROJECT PH .III IN SECTOR-1 DWARKA FOR 66 K~1
- PLOTTED DEVELOPMENT SECTOR-3
- PLOTTED DEVELOPMENT SECTOR-10
- PLOTTED DEVELOPMENT SECTOR-11
- PLOTTED DEVELOPMENT SECTOR-12
- PLOTTED DEVELOPMENT SECTOR-13
- PLOTTED DEVELOPMENT SECTOR-12 B
- PLOTTED DEVELOPMENT SECTOR-16
- PLOTTED DEVELOPMENT SECTOR-23
- POCKT-18, DWARKA
- PROPOSD LAYOUT PLAN FOR COMM HALL LIBRARY,LOCAL SHOPPING ,DISP-ENSARY,OC,F SECTOR-2 DWARKA
- PROPOSED MODIFICATLON IN LAYOT PALN SECTAR-14 DWRKA
- REVISED LAY OUT PLAN OF POCKET-20 B
- REVISED LAYOUT PLAN FOR SOCIO-CULTURAL CENTE SECTOR -13
- REVISED LAYOUT PLAN OF ALTEENATIVE PLOTS FOR RESIDENTIAL POCKET-10 SEC 23 PH II
- REVISED LAYOUT PLAN OF ALTER NATIVE PLOTS FOR RESIDENTIAL POCKET-9 SEC 23 PH II
- REVISED LAYOUT PLAN OF ISOLATED POCKET 11& 12 SAGARPUR DWARKA ZONEK-II
- SECTOR -3 MODIFED PLAN PKT- A
- SECTOR-17 POCKET-C-8
- SERVICE CENTRE SECTOR-9
- SERVICE CENTRE,SECTOR-20
- SERVICE CENTRE-PART-II, SECTOR-20
- SPS-4 SECTOR-16 D, DWK
- SR.SEC. SCHOOL,SECTOR-19 PH.I
- SUB DIVISIN OF P.S.P PLOT SECTOR-8
- SUB DIVISION OF PLOT MEASURING 5186 SQ.,SECTOR 13 DWARKA
- SUB-DIVISION OF PLOTS IN PKT.14
- SUBDIVISION PLAN OF HAF -2 S ADJACENT SITE SR. SEC SCHOOL PLOT AT SEC 18 DWARKA PH-II
- SUB-DIVISION PLAN OF POKET- 3 NERVIJAYEE AWAS YOJNA AT SECTOR 18.A DWARKA PH-II
- SUB-DIVSIN OF SITE FOR SCHOOL HANDICAPN IN SECTOR-3 DWARKA PHASE-I
- UTILASTIN OF VACANT POCETS AT NASIRPUR SITE ON III
- UTILISATION OF ISOLATED POCKETS IN RESIDENTIAL BUILT-UP ARE ADJOINING VILLAGE MATIIALA D.W.K PROJECT
- UTILISATION OF RECLAIMED LAND AT SECTOR-7, DWK
- UTILISATON OF VACANT POCKET AT SYADICATE ENCLAVE SITE NO. I
- UTILISATON OF VACANT POCKET AT SYADICATE ENCLAVE SITE NO. II
- UTILSATIN OF VACANT POCKETS BEHIND DDA PROJECT OFFICE AD MANGLAPURI SITE NO IV
- UTILSATION OF LAND NEAR POLICE POST MANGLAPURI FOR D.T.C TERMINAL
- UTILSATION OF PSP PLOT MEASURING APPROX 0.90 HA. IN SECTOR-8, PKT,14-D.W.K
- UTILSATION OF VACANT POCKETS NEAR POCHANPUR VIILLAGE SEATOR-23 PH.ll D.W.R
- UTILSATLON OF VACANT POCKET IN BULT-UP AREA -PALAM ADJOINING SECTOR-7 D.W.K
- UTILSATON OF P.P SITE IN SECTOR-5 D.W.K PHASE-I FOR C.N.G STATION
- Fruit and vegetable at dabri modh(21.07.2017)
- HIG Houses, sector 19 b, dwarka(21.07.2017)
- Housing at Loknayakpuram, Bakkarwala(9.12.2016)
- Housing at pocket 4, sector 14, dwarka(9.12.2016)
- Housing near Vegas Mall, Sec. 14, Dwarka(9.12.2016)
- Housing pocket opp SPS, SEC 19B, DWARKA(9.12.2016)
- Streetscaping concept of metro viaduct(16.11.2016)
- Land for CRPF at Andheria more (1)
- Layout plan at Maidangarhi
- Layout plan at Sayurpur
- Layout plan of DDA land at Sayurpur
- Layout plan of DDA land Neb Sarai
- Layout plan of plot measuring 2500 sqm for Department of PowerBSES at Mehrauli
- Layout plan of site for ILBS for residential
- Layout plan showing site of unified complex by NIC at Maidgarhi
- Multi purppose Community Hall at Satbadi
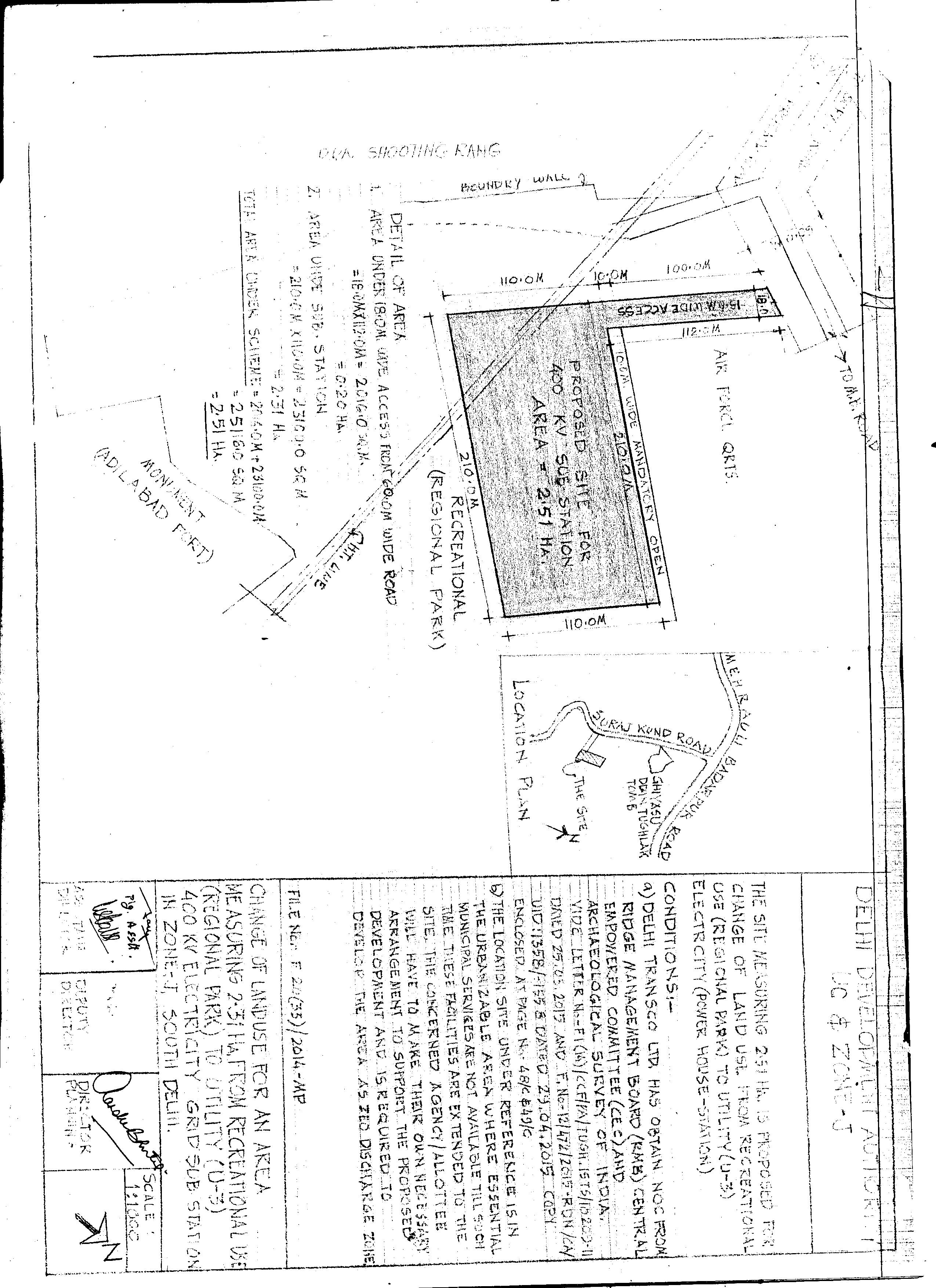
- Site for 400 KV substation at Tughlakabad
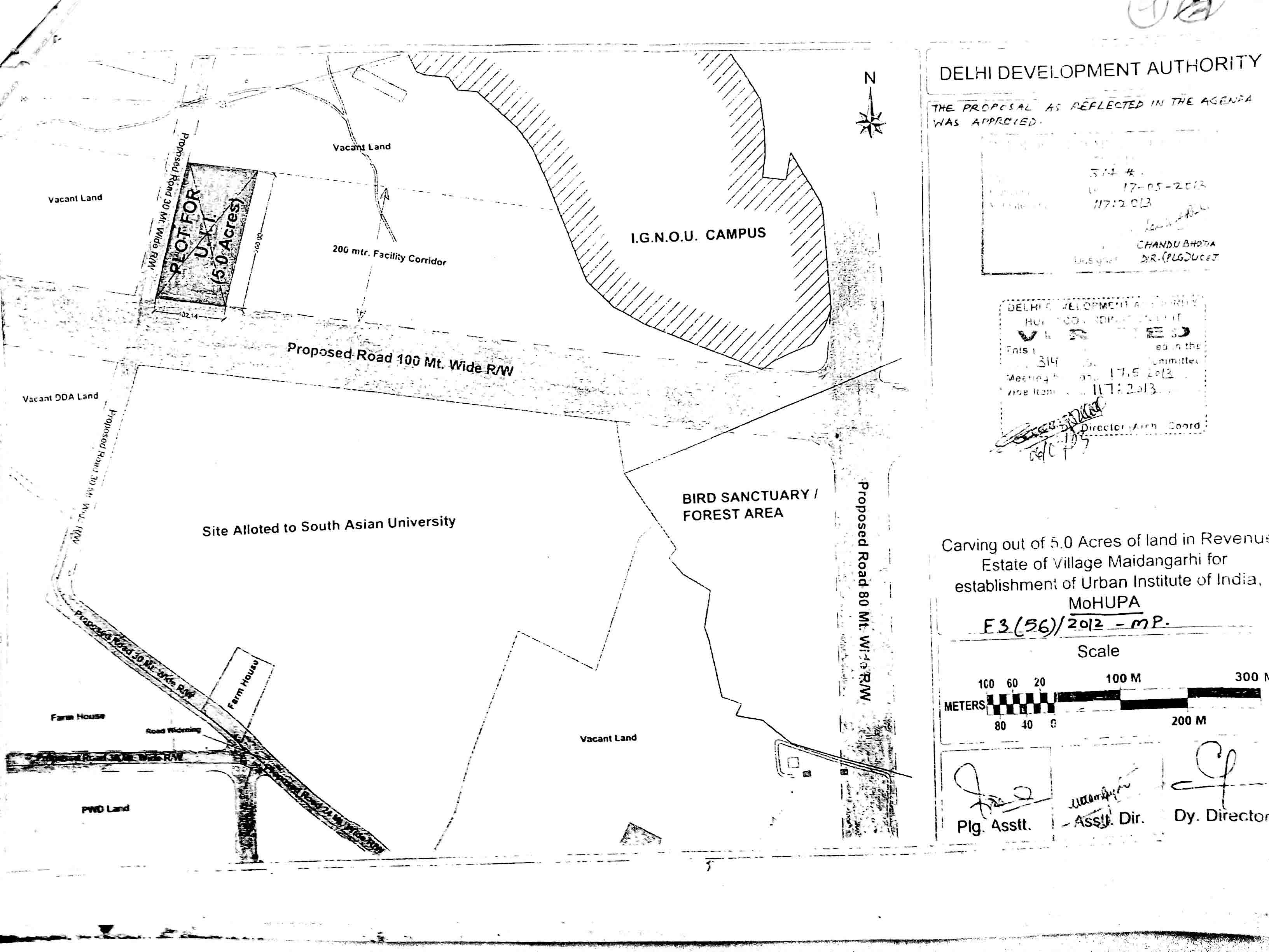
- Site for MOH UPA at Village Maidgarhi
- Utilization plan of DDA land at Satbadi and Rajpur Khurd
- Utilization plan of DDA land at Vilalge Maidangarhi
- Utilization plan Rajpur Khurd
- Utiliztion plan of DDA land at Saidulazab for park
- Development Plan of Naraina Vihar
- File No. Dir.(AP)-III-10-97-2- Land Development for occupants effected by Shankar road widening
- Land and Development office Arch. Unit (LDO No. 1672-2)
- Layout plan Industrial area Phase-II
- Layout Plan of OCF pocket opp. Ramjas School at Anand Parbat Industrial Area
- Layout plan of Old Rajinder Nagar and Rajinder park
- Layout plan of Patel nagar Delhi (South West and East)
- Naraina Industrial Area Phase-I (DRG No. DDA-1066)
- Naraina Industrial area Phase-II
- Planning and Development of MOR land at Patel Nagar
- Planning and Development of MOR Land at Patel Nagar
- Planning and Development of MOR Land in Old Rajendra nagar (Site No. 1 to 7)
- Revised Layout plan of new Rajendra Nagar, New Delhi
- Ware Housing Scheme North West of Pusa Institute
- Map1
- Map2
- Map3
- Map3
- Map4
- Map5
- Map6
- Map7
- Map8
- Map9
- Map10
- Map11
- Map12
- Map13
- Map14
- Aliganj Pocket 5,6 & 7
- Defence Colony Site 1-17
- Final jungpura Site 5-9
- Jangpura Pocket1-4 and 10-25
- Lajpat Nagar Site No1-14 17 18
- Lajpat Nagar I & II Site No,15 16 19 20 21 22
- Nizamuddin Site No 1-08
- Nizamuddin West Site No 5,9,10,11,12,13,14,15
- NizamuddinWest Site No11,12,13
- Vinobha Puri Site No 8 -22 (modified)
- Vinonha puri Pocket 1 - 7
- Composide Sec-20-25
- Sector- Industrial Area
- Sector-20-22 Layout Plan
- Sector-22 Layout Plan
- Sector-23 Layout Plan
- Sector-24 Layout Plan
- Sector-25 Layout Plan
- Sector-26 Layout Plan
- Sector-27 & 28 Layout Plan
- Sector-29 Layout Plan
- Sector-30 Layout Plan
- Sector-31 Layout Plan
- Sector-32 Layout Plan
- Sector-34 & 35 Layout Plan
- Sector-36&37 Layout Plan
- Sector-38 Layout Plan
- Sector-39 & 22 (part) Layout Plan
- Sector-40 Layout Plan
- Sector-41 Layout Plan
- Residential Pocket - 1, Block - B, Sector - 37, Phase V, Rohini
- Narela
- North West Delhi - II
- North West Delhi - III
- Pocket I-13 of Industrial Area Rohini Phase-V
- layout plan of Sector-26, Rohini, Phase-IV
- Rohini Pocket -1-13
- Rohini Sector 32
- Sector-I Layout Plan
- Sector-II Layout Plan
- Sector-III Layout Plan
- Sector-IV Layout Plan
- Sector-IX & XIII Layout Plan
- Sector-V Layout Plan
- Sector-VI Layout Plan
- Sector-VII Layout Plan
- Sector-VIII Layout Plan
- Sector-XI (Extn.)Layout Plan
- Sector-XI Layout Plan
- Sector-XIX Layout Plan
- Sector-XV Layout Plan
- Sector-XVI Layout Plan
- Sector-XVII Layout Plan
- Sector-XVIII Layout Plan
- Resettlement Scheme at Shiv Vihar, Hashtsal (Temporary Transit Accommodation)
- Landuse :- Zone K-I.
- Layout Plan of Lok Nayak Puram (Bakarwala), Revised proposed Housing Area Facility (Pocket-I)
- Layout Plan : Proposed 66/11 KV ESS to be located within the recreational green area (Park) of Hastsal Transit Camp (Shiv Vihar)
- Zonal Development Plan I-2, Najafgarh
- Layout Plan : 66/11 KV Electric Sub-station within the Green Area opposite existing cremation ground of Hastsal
- Sub- Station Plan of facility Pocket earmarked in the Resettlement Scheme at Hastsal (Temporary Transit Accommodation)
- Modified plan of OCF/Local shopping site in Resettlement Scheme (old) near Hastsal Village
- Layout plan of Lok Nayak Puram Scheme
- Layout Plan for Resettlement Scheme at Hastsal
- Layout Plan for Resettlement Scheme at Hastsal
- DEMARCATION PLAN.SEC-20
- Demarcaton plan sec-11
- DEMOCRATION PLAN SEC 4
- DWARK SEC 5
- DWARKA SEC 1&2
- DWARKA SEC 3
- DWARKA SEC 6
- DWARKA SEC 7
- DWARKA SEC 8
- DWARKA SEC 9
- DWARKA SEC 10
- DWARKA SEC 12
- DWARKA SEC 13
- DWARKA SEC 16 C
- DWARKA SEC 16 D
- DWARKA SEC 17
- DWARKA SEC 18 A
- PKT-2 SECTOR -19 Ph.II DWK
- DWARKA SEC 19 PH II
- DWARKA SEC 19 PHASE I
- DWARKA SEC 23 PHASE I
- DWARKA SEC 25
- DWARKA SECTOR 22
- LAYOUT PLAN SECTOR 16 A& B
- LAYOUT PLAN SEC 14
- SEC 23 PHASE II
- SEC 26,21,22
- SECTOR 21 DWARKA
- SECTOR- 24, DWARKA
- Map 1 (17-07-2018)
- Map 2 (17-07-2018)
- Map 3 (17-07-2018)
- Map 4 (17-07-2018)
- Map 5 (17-07-2018)
- Map 6 (17-07-2018)
- Map 7 (17-07-2018)
- Map 8 (17-07-2018)
- Map 9 (17-07-2018)
- Map 10 (17-07-2018)
- Map 11 (17-07-2018)
- Map 12 (17-07-2018)
- Map 13 (17-07-2018)
- List of layouts
- Approved VREC Lay Out Plan of Facility Centre Mandoli on Wazirabad Road[03.07.2012]
- Block no.13 trilok pur & sir shobha singh upvan 36x20
- Community Hall and Nursing Home at Mayur Vihar Phase III Pkt A I,II LIG Flats
- Delhi Cathelic Archdiocese Church for religious purpose at Mayur Vihar Phase III Kondli Gharoli Complex, Pocket A 3
- Design of 'A' Pkt. opposite Shekhar Society near Chilla Village, Mayur Vihar Ph_i, Layout plan. [29.5.97]
- Facilities Centre No. 26 Service Centre -11 at Village Dallupura
- Layout & set back Plan of group housing societies Patparganj Mayur Vihar
- Layout cum envelop of CGHS neear chilla[30.7.83]
- Layout plan for Instututional Area Vishwas Nagar
- Modified Layout Plan of Vacant Area Near C-Block, Dilshad Garden Housing Scheme
- Design of the pocket oppsite Sanjay Lake (shashi garden village)[21.11.97]
- Plan Showing the community Hall Site at Gokulpur Village (169)[25.5.95]
- Planning And Development Of Block No. 18 Geeta Colony[29.9.87]
- Possession plan-proposed site for 33 KV Sub station at Shakarpur near Laxmi Nagar
- Possession plan-proposed site for UG water reservoir near Shastri Park District Centre for allotment to Delhi Jal Board
- Possession sub division of No. 5 site no 13 Block No. C-12 Yamuna Vihar for utilizing it for two Community Halls
- Proposed layout plan of DDA land measuring 42713 sqm and showing pocket for change of land use in MPD-2021 Recreational t~1
- Proposed site for Church to Delhi Cathelic Archdiocese at Mandawali Fazalpur
- Proposed site for Post Office in OFC Pocket in CGHS Mandawali Fazalpur
- Proposed site for Senior Sr. School, Dispensary,Post Office and OCF Proposed 30Mtr. Road in village Gokulpur Loni Road
- Proposed Site for Sub division plan of Pocket earmarked for Community HallReligious in A-Block at Surajmal Vihar
- Site for Park and Community Hall at New Usmanpur
- Standard design for Auto Repair at Patparganj Road
- Sub division plan of OCF Pocket at Janta Flat Pocket C-2 Kondli Gharoli (Mayur Vihar) Phase - III
- Sub division plan of OCF Pocket near Prince CGHS in Mandawali Fazalpur
- Sub Division Plan of Vacant Site Earmarked for H.S.S.& C.S.C. into two Higher Secondary School at Mayur Vihar PH- I ( Ne~1)
- Sub-division plan of Vacant Pocket No -25 For Religious at Karkardooma
- Sub-divisional Plan, of vacant site earmarked for HSS adjoining Neeraj Appartment at Vasundhara Enclave, CGHS Zone E
- Total Plan of kondli gharoli compelx
- Utiization plan of vacant sites no.1 & 2. adjoining dairy farm & janta flats, pocket-D at Kondli Gharoli Complex.jpg[26.9~1
- Utilisation Plan of Vacant Land of site No. 2 behind Lal Bahadur Shastri Hospital adjining K Block at Khichripur Zone -E[~1]
- Utilization plan of vacant land for Multi Purpose COmmunity Hall at Kotla Villaegs [25.2.10]
- Utilization plan of vacant land for Multi Purpose COmmunity Hall at Kotla Villaegs [25.2.10]
- Utilization plan of Vacant Land in the East Dallupura Village
- Modification in the Layout Plan of Public and Semi -Public (institutional) at Karkardooma (FC-18) for bifurcation plot No -21 in Zone-E
- Composite Structure Plan Co-Op Group Housing Scheme mandawali fazlpur
- Design of a Pocket of Land in institutional area E-9,10 near Deepak Memorial Hospital[30.1.96]
- Design of O.C.F. pocket in mandavali Fazalpur, Opposite Bhathla, C.G.H.S.[20.4.95]
- Facility Center No. 8 at Wazirabad Road and Loni Road Crossing- Layout Plan
- Facility Centre No.10 & Service Centre No. 5[17.8.98]
- Facility cum Commercial Centre and Housing Complex at Geeta Colony [22.11.94]_updated
- Ghonda Resdl. Scheem Block-C, Pt. Zone E-14,[20.4.76]
- Industrial Area in North of G.T. Shahdara Road (Dilshad Garden)
- L.O.P OF Small Facility Centre At Brahmpuri[15.12.91]
- Lay Out Cum Enevelop Plan of Land Allotted to C.H.B.S. at Geeta Colony[22.10.84 &11.4.85]
- lay out plan FC-17 36x46
- Layout and Set Back Plan of Group Housing Societies CBD SHAHDRA.
- Layout Plan for Automobile Service & Training Centre at Gazipur [4.9.84]
- Layout Plan for Community Facilities Institutional complex mandawali fazalpur
- Layout Plan of DDA Vacant Land (SIte No. 20)Near Village Hasanpur Modified (160)
- Layout Plan of Group Housing Scheme Vishwas Nagar
- Layout Plan of Jhilmil Ph-II. [23.12.74]
- Layout Plan of Public and Semi Public (institutional) at Karkardooma FC 18
- Layout plan of Vacant Pocket near Karkardooma Village
- Modification of layout plan (Part) Utilization Plan of vacant pocket earmarked for facility purpose in Geeta colony oppos~1
- Modified Layout Plan of integrated Freight Complex GAZIPUR updated
- Modified Part Layout Plan of Area at Khureji Khas (161)[29.11.2007]
- Modified part layout plan of O.C.F Pkt. in C.G.H.S. mandawli-fazalpur (as per site dimension)[19.8.98]
- Modified Plan for FAcility Centre at Dilshad Garden[10.12.91]
- Part Facility centre- 13 near Sub C.B.D Shahdara (LOP Modified)[7.4.97]
- Part Layout of OCF Pocket Opposite Chitrakoot Apatrtment at Vishwas Nagar
- Part plan of facilty centre 18, karkardooma[17.11.2011]
- Part Proposed Modification on Layout PLan (Part) of Facility cum commercial Centre and Housing Complex Geeta colony.(168~1
- Part Proposed modification on layout Plan (Proof) of facility cum-commeciial centre and housing complex Geeta Colony. [28~1
- Planning And Development Of Block No. 18 Geeta Colony[29.9.87]
- Proposed site for Community Hall and Library in Shastri Park
- Proposed site for Community Hall at Mandawali Fazalpur CGHS near Balco Society
- Proposed site for Community Hall in OCF pocket, Joshi Colony
- Proposed site for Cremation Ground and electrical Crematorium near Ganesh NagarPandav Nagar
- Proposed Site for Sub-division plan of Community Hall Site behind Nithi Coop. Group Housing Society in Mandawali Fazalpur
- Proposed site of Dhalao Near Mothe Dairy- Pandav Nagar DElhi-92(175)[21.2.06]
- proposed utilization of Commercial Centre Geeta Colony_final lop for Auth 12.12
- Revised Lay out Plan of Block -B Yamuna Puri (Gonda) Residential Area[6.8.80]
- Site Plan (modified proposed site for Gurudwara Shri Guru Singh Sabhe Delhi. )Northern Railway Employees Coop. Housing Si~1
- Subdivision of plot for N.S. site in Vivek Vihar, Phase-I
- Sub-divisional Plan, Proposed sub dividon of Nursery School for children Mother Pride at Priyadarshni Vihar, TYA
- Ultization of vacant pocket earmarked for facility purpose in Geeta Colony opp Rani Garden H.S.S.
- Utilisation of Proposed HSS sr. Sec School Site in CGHS Scheme Mandawali Fazalpur (Near Kothari CGHS)
- utilization of vacant pocket at usmanpur bhagat singh mohilla
- Utilization Plan For FC 23 Near Mother Dairy[23.5.2000]
- Utilization Plan of 3 Vacant Pocket opposite of Prince Apartment Near Mandawali Fazalpur[4.2.2009]
- Utilization plan of DDA Vacant Land Near New Lahore Shastri Nagar[29.11.2007]
- Utilization plan of Vacant land at Pocket-'A' IFC Ghazipur [25.2.2010]
- vivek vihar phase 1 jhilmila phase 1
- Landuse Plan of Zone O Notified
- LA OUT PLAND FOR TEMPORARY TRANSIT ACCOMODATION AT MANDPUR KHADRA EXTN. (ZONE-0 REVISED PLAN)
- LAYOUT OF PLANT OF POLICE FIRING RANGE NORTH OF WAZIRABAD ROAD WEST OF MARGIONAL BUND ROAD
- LAYOUT PLAND FOR GRAVE YARD - BURIAL & CREMATION GROUND AT MANDPUR KHADAR.jpg
- LAYOUT PLAND OR TEMPORARY ACCMODATION AT MADANPUR KHADAR EXTN PHASE-II ZONE-o LP-2
- MODIFIED PLAN FOR DDA VACANT LAND NEAR BULDAND MASJID SHASTRI PAR EXTN.
- Proposed water Reservoir and pumping station and STP sites at Sarai Kale Khan (RYP Zone-O)- Layout Plan
- Modified Layout Plan of the area on the west of marginal bundh North of Wazirabad Road for facilities Gas Godwin'S and workshop
- Image 1
- Image 2
- Image 3
- Image 4
- Approved Agenda & Minutes _340 SC Meeting
- Authenticated Utilization Plan
- Ashok Vihar-1-A1
- Ashok vihar-2-A1
- Ashok vihar-3-A1
- Lawrence Road indl Area-A1
- Lawrence Road Indl Tenements-A1
- Mangolpuri Indl Area-1-A
- Mangolpuri Indl Area-2-A
- Mangolpuri Petrolium Traders-A1
- Piatmpura AU Blk-A
- Pitampura H4&5-A
- Pitampura Rsidential Scheme-H5-A
- Pitampura FC-53_SC-19-A
- Pitampura FC-57-PITAMPURA-A
- Pitampura SC-18 BUS TERMINAL-A
- Pitampura SC-18 LPG GAS GODOWN-A
- Rani Bagh-Rishi Nagar_Regularization Plan-A
- Shalimar Bagh @Singalpur-A2
- Shalimar Bagh Blk C&D-A
- Shalimar Bagh Blk-A-A1
- Shalimar Bagh FC 50-A1
- Shalimar Bgah Blk-B-A1
- Wazirpur Indl Area-A1
- Wazirpur@Printing Press-A2
- Sub Division Plan of LS/OCF Vacant Plot in Pocket- A-2 & A-3 behind Existing Sr. Sec. School, Sector-III, Rohini, Ph-I & II
- Rohini Phase -1 & II
- Rohini Phase -1 & II
- Rohini Phase -1 & II Sector -V
- Rohini Phase -1 & II Suraj Park
- Rohini Phase -1 & II Service Center
- 374th Screening Committee meeting (Utilization Plans @ Zone-H) Approved Minutes, Agenda, LOP
- 364th Screening Committee meeting (Utilization Plans @ Zone-H) Approved Minutes, Agenda, LOP
- 351th Screening Committee meeting (Utilization Plans Zone-H) Children Park Wazirpur Ph-1
- 354th Screening Committee meeting (Utilization Plans Zone-H) AD Block Shalimar Bagh
- Ashok Vihar Delhi Public Library
- Ashok Vihar B&C Blk
- Ashok Vihar Ph-1 NS-2
- Ashok Vihar Ph-1 NS-4
- Ashok Vihar Ph-1 NS-Janak Society
- Ashok Vihar Ph-1 Old Age Home
- Ashok Vihar-2 NS
- Ashok Vihar-3_dispensary
- Ashok Vihar-Hospital Medium
- FC-53 Pitampura Hospital Plots
- Haiderpur-Shalimar Bagh GovtSSC
- Keshavpura Sachha Sauda
- Lawrence Rd Indl HAFED
- Lawrence Road Burila Ground
- Lawrence Road-200 Bed Hospital
- Mangolpuri Indl -2 MTNL
- Mangolpuri Indl Area-1 Amalgamation 5-6-7-8-9
- Mangolpuri Indl Area-2 Amalgamation Blk-B
- Mangolpuri Indl Area-2 Block-B
- Mangolpuri Indl.-2 CNG
- Mangolpuri Indl-2 Block-E
- Mangolpuri Indl-2 CNG Stn
- Mangolpuri Petrolium Traders_Blk-D Modified
- Piatmpura FC-57 Pkt-A Rd No.-43
- Lawrence Road indl Area-A1
- Lawrence Road Indl Tenements-A1
- Mangolpuri Indl Area-1-A
- Mangolpuri Indl Area-2-A
- Mangolpuri Petrolium Traders-A1
- Piatmpura AU Blk-A
- Pitampura H4&5-A
- layout plan 1
- layout plan 2
- layout plan 3
- layout plan 4
- layout plan 5
- Pitampura @ Burial Ground-NSP
- Pitampura @ Facility Plots Road No.-44
- Pitampura CP Blk @ NS
- Pitampura H4&5@Facility@Venus Aptt
- Sector-I Layout Plan
- Sector-II Layout Plan
- Sector-III Layout Plan
- Sector-IV Layout Plan
- Sector-IX & XIII Layout Plan
- Sector-V Layout Plan
- Sector-VI Layout Plan
- Sector-VII Layout Plan
- Sector-VIII Layout Plan
- Sector-XI (Extn.)Layout Plan
- Sector-XI Layout Plan
- Pitampura H4&5 SaraswatiVihar&Engg Enclave
- Pitampura H4&5 SubDiv NS_Chanderlok CHBS
- Pitampura NSP Burila Ground
- Pitampura Rishi Nagar Community Room
- Pitampura Vill Petrol Pump
- Pitampura Village Vacant Plot
- Pitampura Pushpanjali Enclave-Tot-Lot-NS
- Pitampura C.Room saraswati vihar
- Pitampura Church_GP Blk
- Pitampura DMRC NSP
- Pitampura DU Blk-NS site
- Pitampura Dudial Society
- Pitampura Engineers CHBS_NS
- PPitampura Facility Pkts_RdNo.-44_CC
- Pitampura Facility Pocket Pushpanjali Enclave CHBS
- Pitampura Govind Dham_NS
- Pitampura Jagriti&DefenceLand
- Pitampura Land at BU Blk
- Pitampura Land between Sainik Vihar Nilambar aptt.
- Pitampura Middle School+NS Near Sainik Vihar
- Pitampura NHP-Dudial&MadhubanCHBS
- Pitampura NS site-RP Blk
- Pitampura NS to Society
- Pitampura NS_Chanderlok CHBS
- Pitampura OCF Dera Ghzai Khan
- Pitampura Pink Flower Society_NS
- Pitampura Plots ILI CGHS
- Pitampura PP_Rd No-42
- Pitampura Rajdhani Enclave-NS site
- Pitampura sub div NS site_SPS Full Society
- PitampuraTarun Enclave_NS
- Pitampura Timarpur_NS
- Pitampura UP Samaj-NS
- Pitampura vacant pkt_sainik vihar
- PitampuraH4&5 FC-57_Pkt-B
- PitampuraH4&5 Mother Dairy
- PitampuraH4&5 OCF_Kasturba Home
- Pitmapura MP Blk NS - Parking
- Ptampura FU Blk_PS
- Ptampura Vishakha Enclave_CD Block
- Rani Bagh RA-GH Pkt
- Rani Bagh RA-GH Pkt
- Shalimar Bagh Blk-B_NS site Revised
- Shalimar Bagh Dispensary_Blk-B
- Shalimar Bagh Gas Godown
- Shalimar Bagh Merger NS_Blk-A
- Shalimar Bagh PP Blk-A
- Shalimar Bagh Religious_Blk-BC_Vedic Samaj
- Shalimar Bagh Sheesmahal Park
- Shashtri Nagar Shri Nagar Extn
- Sri Nagar Extn
- Tri Nagar 33 KV Grid Stn
- Wazirpur Indl Area Auto Repair Shop
- Wazirpur Ph-2 STP AddlLand
- WAzirpur-2 Hazardous Site
- G2 LOP FOR KIRTI NGR. INDUSTRIAL AREA
- G2 LOP OF A1 & A2 BLK. KIRTI NGR WARE HOUSING
- G2 LOP OF LAKKAR MKT KIRTI NAGAR
- G2 LOP OF LAKKAR MKT KIRTI NGR.
- G2 MODFIFED LOP FOR METER GAUGERLY SIDING AND CENTRAL STORE SOUTH OF KIRTI NAGAR
- G2 MODIFIED PLAN OF VACANT PKTS AT KIRTI NGR INDUSTRIAL AREA
- G2 PROPOSED MODIFIED PLAN FOR BLK-2 WHS KIRTI NGR
- G2 REVISED MODIFIED PLAN OF VACANT PKTS AT KIRTI NGR INDUSTRIAL AREA
- G2 WARE HOUSES OF TIMBER TRADERS & MINIRAL SIDING AT SOUTH OF KIRTI NGR





